Super Typhoon Sinlaku: Devastating Storm Hits US Territories
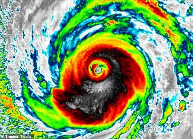
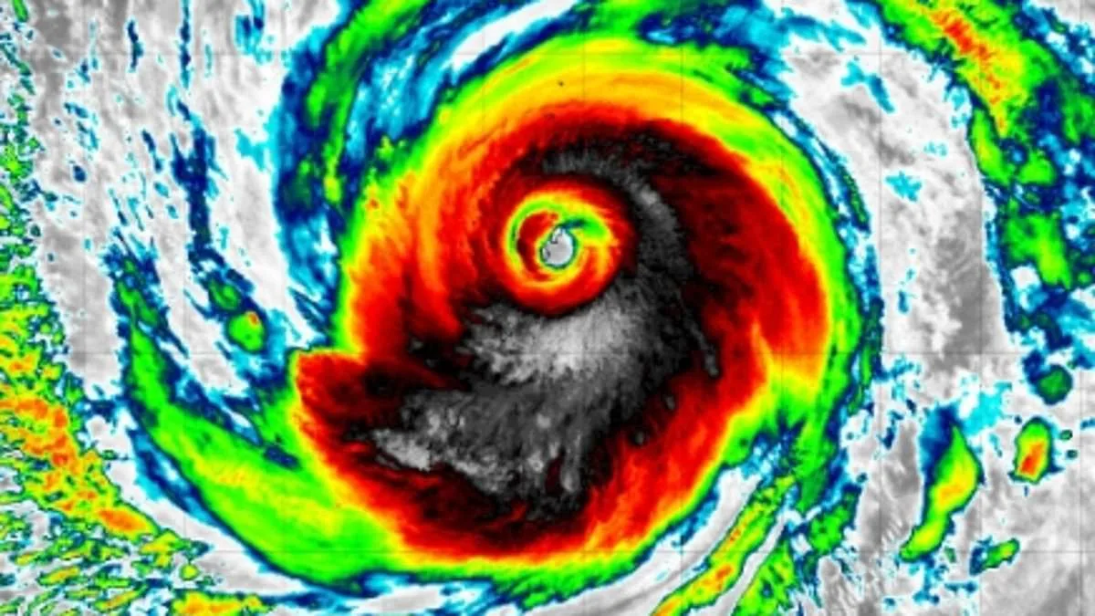
Super Typhoon Sinlaku is approaching US territories. It carries sustained winds of 173mph. This Category 5 storm is the season's strongest. It is moving toward the Northern Mariana Islands and Guam.
The storm targets Saipan, Tinian, and Rota. It is expected to hit Tuesday night. Residents face potential blackouts and flooding. The direct impact may last 24 hours. However, cleanup could disrupt life for months.

Nearly 2,000 tourists are already stranded. The Guam governor's office reported canceled flights. About 1,500 visitors are currently stuck.
The National Weather Service issued a warning. They expect destructive winds and heavy rain. These impacts may last through Wednesday. The storm also threatens coastal areas.

This storm is similar to a hurricane. However, typhoons form in the West Pacific. Hurricanes form in the Atlantic and East Pacific. Cyclones occur south of the equator.
A Category 5 storm has winds exceeding 157mph. In 2018, Typhoon Yutu caused massive damage. That storm required years of economic recovery.

Guam has over 170,000 residents. It is an unincorporated US territory. Residents are US citizens but cannot vote for Congress. The US military on Guam must shelter in place.
President Trump approved emergency disaster declarations. This covers Guam and the Northern Mariana Islands. FEMA will provide essential supplies.

Sinlaku recently brought 80mph winds to Guam. Meteorologist Landon Aydlett noted a major slowdown. This could prolong the period of damage. He told the Pacific Daily News, "It’s going to be a very long night."
The Pacific typhoon season lasts until early December. Meanwhile, the Atlantic hurricane season begins June 1. AccuWeather predicts five mainland impacts by 2026.

Residents of the Mariana Islands are bracing for a period of intense destruction as a typhoon approaches. "Many of you up there in the CNMI probably have a sleepless night, as it's going to be very loud, a lot of action going on and unfortunately, a lot of damage," warned an observer. Sustained winds exceeding 140mph are expected to batter the archipelago this Tuesday.
The storm has already caused significant property damage and left numerous travelers stranded across the region. Roughly 400 tourists are currently believed to be trapped within the US commonwealth. This territory, which is centered largely on Saipan, supports a population of approximately 47,000 people.

The 14-island archipelago, including Tinian and Rota, relies heavily on WWII history, diving, and beaches. While English is the official language, the political landscape presents unique challenges for these US citizens. Despite their citizenship, residents cannot vote, though a 1975 agreement provides significant self-governing autonomy.
The region's strategic importance also brings heightened risks, as Guam serves as a vital US military hub. Military installations occupy about one-third of Guam, including the critical Andersen Air Force Base. This base supports long-range B-52 and B-2 bombers, both of which can carry nuclear weapons. Furthermore, Naval Base Guam provides essential logistics and hosts attack submarines for the US Pacific Fleet.